~**감성돔 찌낚시 4짜외 마리수~(예약가능)**~ 몇분 모시고 다녀왔습니다~ 감성돔 찌낚시 4짜,4짜,4짜외3짜들 손맛보고왔습니다~ 추운 날씨에 수고많이하셨습니다~~^ ~~*금,토,일 찌낚시~예약가능합니다*~~ **아침으로 제법 쌀랑합니다~따끈 오뎅탕 드시고 출발~^^ **10시이후로는 문자 확인이 어려우니 전화로 연락 부탁드립니다**. "포인트피싱" 밴드로 초대합니다!! ↓ ↓ ↓ ↓ ↓ ↓ https://band.us/@pointfs #밴드로 오셔서 더많은 조황구경하세요# === 창원 진해 포인트호 예약안내 ===예약문의 : 010-4785-0205오시는길 : 경남 창원시 진해구 제덕동 891 (아모르호텔 앞)홈페이지 : http://pointfishingho.sunsang24.com/
~**14일 감성돔 찌낚시 4짜외 마리수~(예약가능)**~ 몇분 모시고 다녀왔습니다~ 감성돔 찌낚시 4짜,4짜,4짜외3짜들 손맛보고왔습니다~ 추운 날씨에 수고많이하셨습니다~~^ ~~*금,토,일 찌낚시~예약가능합니다*~~ **아침으로 제법 쌀랑합니다~따끈 오뎅탕 드시고 출발~^^ **10시이후로는 문자 확인이 어려우니 전화로 연락 부탁드립니다**. "포인트피싱" 밴드로 초대합니다!! ↓ ↓ ↓ ↓ ↓ ↓ https://band.us/@pointfs #밴드로 오셔서 더많은 조황구경하세요# === 창원 진해 포인트호 예약안내 ===예약문의 : 010-4785-0205오시는길 : 경남 창원시 진해구 제덕동 891 (아모르호텔 앞)홈페이지 : http://pointfishingho.sunsang24.com/
** 감성돔 찌낚시 마리수~(예약가능)**~ 새해 감성돔 찌낚시,몇수 손맛보고 왔습니다~ ~~*6일(화요일)~예약가능합니다*~~ **아침으로 제법 쌀랑합니다~따끈 오뎅탕 드시고 출발~^^ **10시이후로는 문자 확인이 어려우니 전화로 연락 부탁드립니다**. "포인트피싱" 밴드로 초대합니다!! ↓ ↓ ↓ ↓ ↓ ↓ https://band.us/@pointfs #밴드로 오셔서 더많은 조황구경하세요# === 창원 진해 포인트호 예약안내 ===예약문의 : 010-4785-0205오시는길 : 경남 창원시 진해구 제덕동 891 (아모르호텔 앞)홈페이지 : http://pointfishingho.sunsang24.com/
~**2026년 감성돔 찌낚시 마리수 손맛~(예약가능)**~ 몇분 모시고 다녀왔습니다~~ 새해 감성돔 찌낚시,몇수 손맛보고 왔습니다~^ 추운 날씨에 넘 수고하셨습니다~~^ ~~*5일(월요일)부터 쭉~~예약가능합니다*~~ **아침으로 제법 쌀랑합니다~따끈 오뎅탕 드시고 출발~^^ **10시이후로는 문자 확인이 어려우니 전화로 연락 부탁드립니다**. "포인트피싱" 밴드로 초대합니다!! ↓ ↓ ↓ ↓ ↓ ↓ https://band.us/@pointfs #밴드로 오셔서 더많은 조황구경하세요# === 창원 진해 포인트호 예약안내 ===예약문의 : 010-4785-0205오시는길 : 경남 창원시 진해구 제덕동 891 (아모르호텔 앞)홈페이지 : http://pointfishingho.sunsang24.com/
~**2026년 "새해 복 많이~~받으세요!!(일요일예약가능)**~ 2025년 찾아주셔서 함께 동행해 주신 모든 분들께, 감사드리며,새로 맞은 "2026년" 올한해 모든 분들의 가족의건강과 무탈함을 기원하며 하시는일,하시고자 하는 모든일들 다 이루어지길 기원합니다~~^^ 2026년 올한해도 잊지안코 편안히 찾아주십시요~~^ 함께 동행해주심에 최선을 다해 노력하갰습니다~~^^ ~~*2026년1월4일(일요일)~~예약가능합니다*~~ **아침으로 제법 쌀랑합니다~따끈 오뎅탕 드시고 출발~^^ **10시이후로는 문자 확인이 어려우니 전화로 연락 부탁드립니다**. "포인트피싱" 밴드로 초대합니다!! ↓ ↓ ↓ ↓ ↓ ↓ https://band.us/@pointfs #밴드로 오셔서 더많은 조황구경하세요# === 창원 진해 포인트호 예약안내 ===예약문의 : 010-4785-0205오시는길 : 경남 창원시 진해구 제덕동 891 (아모르호텔 앞)홈페이지 : http://pointfishingho.sunsang24.com/
~**2026년 "새해 복 많이~~받으세요!!**~ 2025년 찾아주셔서 함께 동행해 주신 모든 분들께, 감사드리며,새로 맞은 "2026년" 올한해 모든 분들의 가족의건강과 무탈함을 기원하며 하시는일,하시고자 하는 모든일들 다 이루어지길 기원합니다~~^^ 2026년 올한해도 잊지안코 편안히 찾아주십시요~~^ 함께 동행해주심에 최선을 다해 노력하갰습니다~~^^ ~~*2026년1월2일부터 새해 스타트~~예약받습니다*~~ **아침으로 제법 쌀랑합니다~따끈 오뎅탕 드시고 출발~^^ **10시이후로는 문자 확인이 어려우니 전화로 연락 부탁드립니다**. "포인트피싱" 밴드로 초대합니다!! ↓ ↓ ↓ ↓ ↓ ↓ https://band.us/@pointfs #밴드로 오셔서 더많은 조황구경하세요# === 창원 진해 포인트호 예약안내 ===예약문의 : 010-4785-0205오시는길 : 경남 창원시 진해구 제덕동 891 (아모르호텔 앞)홈페이지 : http://pointfishingho.sunsang24.com/
~*30일 감성돔 찌낚시마리수~~^(예약가능)*~~ 몇분 모시고 다녀왔습니다~~ 감성돔 찌낚시,많은 잡어들속에 몇수 손맛보고왔습니다 추운 날씨에 수고많이하셨습니다~~^ ~~*31일(수요일)예약가능합니다*~~ ***2026년1월1일 해돋이겸 예약가능합니다*** **아침으로 제법 쌀랑합니다~따끈 오뎅탕 드시고 출발~^^ **10시이후로는 문자 확인이 어려우니 전화로 연락 부탁드립니다**. "포인트피싱" 밴드로 초대합니다!! ↓ ↓ ↓ ↓ ↓ ↓ https://band.us/@pointfs #밴드로 오셔서 더많은 조황구경하세요# === 창원 진해 포인트호 예약안내 ===예약문의 : 010-4785-0205오시는길 : 경남 창원시 진해구 제덕동 891 (아모르호텔 앞)홈페이지 : http://pointfishingho.sunsang24.com/
~*감성돔 찌낚시 4짜,3짜들마리수~~^(예약가능)*~~ ~~38부터4짜외3짜들 마리수 손맛보고왔습니다~^ ~~*31일(수요일)부터 쭉~예약가능합니다*~~ ***2026년1월1일 해돋이겸 감성돔 출조 선예약받음*** **아침으로 제법 쌀랑합니다~따끈 오뎅탕 드시고 출발~^^ **10시이후로는 문자 확인이 어려우니 전화로 연락 부탁드립니다**. "포인트피싱" 밴드로 초대합니다!! ↓ ↓ ↓ ↓ ↓ ↓ https://band.us/@pointfs #밴드로 오셔서 더많은 조황구경하세요# === 창원 진해 포인트호 예약안내 ===예약문의 : 010-4785-0205오시는길 : 경남 창원시 진해구 제덕동 891 (아모르호텔 앞)홈페이지 : http://pointfishingho.sunsang24.com/
~*감성돔 찌낚시 4짜,3짜들마리수~~^(예약가능)*~~ ~~38부터4짜외3짜들 마리수 손맛보고왔습니다~^ ~~*30일(화요일)부터 쭉~예약가능합니다*~~ ***2026년1월1일 해돋이겸 감성돔 출조 선예약받음*** **아침으로 제법 쌀랑합니다~따끈 오뎅탕 드시고 출발~^^ **10시이후로는 문자 확인이 어려우니 전화로 연락 부탁드립니다**. "포인트피싱" 밴드로 초대합니다!! ↓ ↓ ↓ ↓ ↓ ↓ https://band.us/@pointfs #밴드로 오셔서 더많은 조황구경하세요# === 창원 진해 포인트호 예약안내 ===예약문의 : 010-4785-0205오시는길 : 경남 창원시 진해구 제덕동 891 (아모르호텔 앞)홈페이지 : http://pointfishingho.sunsang24.com/
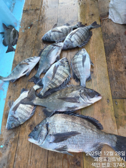
~*28일 감성돔 찌낚시 4짜,3짜들마리수~~^(예약가능)*~~ 몇분 모시고 대가리 큰놈 잡으러 다녀왔습니다~~ 첫 히트,38부터4짜외3짜들 마리수 손맛보고왔습니다~^ 추운 날씨에 수고많이하셨습니다~~^ ~~*29일 월요일부터 쭉~~~예약가능합니다*~~ ***2026년1월1일 해돋이겸 감성돔 출조 선예약받음*** **아침으로 제법 쌀랑합니다~따끈 오뎅탕 드시고 출발~^^ **10시이후로는 문자 확인이 어려우니 전화로 연락 부탁드립니다**. "포인트피싱" 밴드로 초대합니다!! ↓ ↓ ↓ ↓ ↓ ↓ https://band.us/@pointfs #밴드로 오셔서 더많은 조황구경하세요# === 창원 진해 포인트호 예약안내 ===예약문의 : 010-4785-0205오시는길 : 경남 창원시 진해구 제덕동 891 (아모르호텔 앞)홈페이지 : http://pointfishingho.sunsang24.com/
~*감성돔 찌낚시마리수~~^(토요일예약가능)*~~ ~~*27일(토요일)정상출항합니다~예약가능, 28일(일요일)1자리 예약가능합니다*~~ **아침으로 제법 쌀랑합니다~따끈 오뎅탕 드시고 출발~^^ **10시이후로는 문자 확인이 어려우니 전화로 연락 부탁드립니다**. "포인트피싱" 밴드로 초대합니다!! ↓ ↓ ↓ ↓ ↓ ↓ https://band.us/@pointfs #밴드로 오셔서 더많은 조황구경하세요# === 창원 진해 포인트호 예약안내 ===예약문의 : 010-4785-0205오시는길 : 경남 창원시 진해구 제덕동 891 (아모르호텔 앞)홈페이지 : http://pointfishingho.sunsang24.com/
~*감성돔 찌낚시 4짜,3짜 마리수~~^(예약가능)*~~ ~~*25일26일 기상악화,27일(토요일)예약가능, 28일(일요일)예약가능합니다*~~ **아침으로 제법 쌀랑합니다~따끈 오뎅탕 드시고 출발~^^ **10시이후로는 문자 확인이 어려우니 전화로 연락 부탁드립니다**. "포인트피싱" 밴드로 초대합니다!! ↓ ↓ ↓ ↓ ↓ ↓ https://band.us/@pointfs #밴드로 오셔서 더많은 조황구경하세요# === 창원 진해 포인트호 예약안내 ===예약문의 : 010-4785-0205오시는길 : 경남 창원시 진해구 제덕동 891 (아모르호텔 앞)홈페이지 : http://pointfishingho.sunsang24.com/
~*감성돔 찌낚시 4짜,3짜 마리수 쫙~~^(예약가능)*~~ *23일 조황 입니다~* 몇분 모시고 다녀왔습니다~~ 감성돔 찌낚시 마리수 손맛 찐하게보고 왔습니다~~^ 추운 날씨에 수고많이하셨습니다~~^ ~~*25일26일 기상악화,27일(토요일)예약가능, 28일(일요일)예약가능합니다*~~ **아침으로 제법 쌀랑합니다~따끈 오뎅탕 드시고 출발~^^ **10시이후로는 문자 확인이 어려우니 전화로 연락 부탁드립니다**. "포인트피싱" 밴드로 초대합니다!! ↓ ↓ ↓ ↓ ↓ ↓ https://band.us/@pointfs #밴드로 오셔서 더많은 조황구경하세요# === 창원 진해 포인트호 예약안내 ===예약문의 : 010-4785-0205오시는길 : 경남 창원시 진해구 제덕동 891 (아모르호텔 앞)홈페이지 : http://pointfishingho.sunsang24.com/
~*22일 감성돔 찌낚시 조황~~^(예약가능)*~~ 몇분 모시고 다녀왔습니다~~ 감성돔 찌낚시 손맛보고 왔습니다~~^ 추운 날씨에 수고하셨습니다~~^ ~~*23일(화요일)부터 쭉~예약가능합니다*~~ **아침으로 제법 쌀랑합니다~따끈 오뎅탕 드시고 출발~^^ **10시이후로는 문자 확인이 어려우니 전화로 연락 부탁드립니다**. "포인트피싱" 밴드로 초대합니다!! ↓ ↓ ↓ ↓ ↓ ↓ https://band.us/@pointfs #밴드로 오셔서 더많은 조황구경하세요# === 창원 진해 포인트호 예약안내 ===예약문의 : 010-4785-0205오시는길 : 경남 창원시 진해구 제덕동 891 (아모르호텔 앞)홈페이지 : http://pointfishingho.sunsang24.com/
~*바람밭 감성돔 찌낚시 4짜,3짜들~~^(예약가능)*~~ 몇분 모시고 다녀왔습니다~~강한 바람속에 감성돔 찌낚시, 몇수 얼굴보고 왔습니다~ 춥고 강한 바람속에 모두 수고하셨습니다~~^ ~~*22일(월요일)부터 쭉~예약가능합니다*~~ **아침으로 제법 쌀랑합니다~따끈 오뎅탕 드시고 출발~^^ **10시이후로는 문자 확인이 어려우니 전화로 연락 부탁드립니다**. "포인트피싱" 밴드로 초대합니다!! ↓ ↓ ↓ ↓ ↓ ↓ https://band.us/@pointfs #밴드로 오셔서 더많은 조황구경하세요# === 창원 진해 포인트호 예약안내 ===예약문의 : 010-4785-0205오시는길 : 경남 창원시 진해구 제덕동 891 (아모르호텔 앞)홈페이지 : http://pointfishingho.sunsang24.com/
~*감성돔 찌낚시 4짜,3짜외~~^(토,일요일예약가능)*~~ 낼도 묵직한 씨알급 손맛보러 갑니다~~^^ ~~*20일(토요일)몇자리여유 예약가능, 21일(일요일)몇자리여유 예약가능*~~ **아침으로 제법 쌀랑합니다~따끈 오뎅탕 드시고 출발~^^ **10시이후로는 문자 확인이 어려우니 전화로 연락 부탁드립니다**. "포인트피싱" 밴드로 초대합니다!! ↓ ↓ ↓ ↓ ↓ ↓ https://band.us/@pointfs #밴드로 오셔서 더많은 조황구경하세요# === 창원 진해 포인트호 예약안내 ===예약문의 : 010-4785-0205오시는길 : 경남 창원시 진해구 제덕동 891 (아모르호텔 앞)홈페이지 : http://pointfishingho.sunsang24.com/
~*18일 감성돔 찌낚시 4짜,3짜외~~^(낼예약가능)*~~ 몇분모시고 다녀왔습니다~~ 감성돔 찌낚시,오늘 찾아주신 손님 생애 첫~감성돔 손맛 보시고,~~추카추카~~^^ 추운 날씨에 수고많으셨습니다~~^ 낼도 묵직한 씨알급 손맛보러 갑니다~~^^ ~~*19일(금요일)정상 출조~~예약가능합니다*~~ **아침으로 제법 쌀랑합니다~따끈 오뎅탕 드시고 출발~^^ **10시이후로는 문자 확인이 어려우니 전화로 연락 부탁드립니다**. "포인트피싱" 밴드로 초대합니다!! ↓ ↓ ↓ ↓ ↓ ↓ https://band.us/@pointfs #밴드로 오셔서 더많은 조황구경하세요# === 창원 진해 포인트호 예약안내 ===예약문의 : 010-4785-0205오시는길 : 경남 창원시 진해구 제덕동 891 (아모르호텔 앞)홈페이지 : http://pointfishingho.sunsang24.com/
~*감성돔 찌낚시씨알급들~~^(낼예약가능)*~~ ~~*19일(금요일)정상 출조~~예약가능합니다*~~ **아침으로 제법 쌀랑합니다~따끈 오뎅탕 드시고 출발~^^ **10시이후로는 문자 확인이 어려우니 전화로 연락 부탁드립니다**. "포인트피싱" 밴드로 초대합니다!! ↓ ↓ ↓ ↓ ↓ ↓ https://band.us/@pointfs #밴드로 오셔서 더많은 조황구경하세요# === 창원 진해 포인트호 예약안내 ===예약문의 : 010-4785-0205오시는길 : 경남 창원시 진해구 제덕동 891 (아모르호텔 앞)홈페이지 : http://pointfishingho.sunsang24.com/
~*감성돔 찌낚시 4짜,3짜들 굿~~^(낼예약가능)*~~ 많은 바람속 출조를 못하고,내일(목요일)정상 출조합니다~~ ~~*18일(목요일)~예약가능합니다*~~ **아침으로 제법 쌀랑합니다~따끈 오뎅탕 드시고 출발~^^ **10시이후로는 문자 확인이 어려우니 전화로 연락 부탁드립니다**. "포인트피싱" 밴드로 초대합니다!! ↓ ↓ ↓ ↓ ↓ ↓ https://band.us/@pointfs #밴드로 오셔서 더많은 조황구경하세요# === 창원 진해 포인트호 예약안내 ===예약문의 : 010-4785-0205오시는길 : 경남 창원시 진해구 제덕동 891 (아모르호텔 앞)홈페이지 : http://pointfishingho.sunsang24.com/
~*16일 감성돔 찌낚시 4짜,3짜들 굿~~^(예약가능)*~~ 몇분 모시고 다녀왔습니다~~ 감성돔 찌낚시 꾹~꾹 쳐박는 손맛보고 왔습니다~~^ 추운 날씨에 수고하셨습니다~~^ ~~*17일(수요일)~예약가능합니다*~~ **아침으로 제법 쌀랑합니다~따끈 오뎅탕 드시고 출발~^^ **10시이후로는 문자 확인이 어려우니 전화로 연락 부탁드립니다**. "포인트피싱" 밴드로 초대합니다!! ↓ ↓ ↓ ↓ ↓ ↓ https://band.us/@pointfs #밴드로 오셔서 더많은 조황구경하세요# === 창원 진해 포인트호 예약안내 ===예약문의 : 010-4785-0205오시는길 : 경남 창원시 진해구 제덕동 891 (아모르호텔 앞)홈페이지 : http://pointfishingho.sunsang24.com/
~*감성돔 찌낚시 대물사냥 시~작~~^(예약가능)*~~ 감성돔 찌낚시 큰 씨알급 손맛 스타트~~^ ~~*15일(월요일)정상 출조,16일(화요일)부터 쭉~~예약가능합니다*~~ **아침으로 제법 쌀랑합니다~따끈 오뎅탕 드시고 출발~^^ **10시이후로는 문자 확인이 어려우니 전화로 연락 부탁드립니다**. "포인트피싱" 밴드로 초대합니다!! ↓ ↓ ↓ ↓ ↓ ↓ https://band.us/@pointfs #밴드로 오셔서 더많은 조황구경하세요# === 창원 진해 포인트호 예약안내 ===예약문의 : 010-4785-0205오시는길 : 경남 창원시 진해구 제덕동 891 (아모르호텔 앞)홈페이지 : http://pointfishingho.sunsang24.com/
~*감성돔 찌낚시 대물사냥 시~작~~^(낼예약가능)*~~ 몇분 모시고 다녀왔습니다~~^ 감성돔 찌낚시 대물1수,3짜등 너울성파도와 강한 바람을~~하루 수고하셨습니다~^^ ~*14일(일요일)기상악화로 출조못하고, 15일(월요일)정상 출조,대물사냥갑니다.예약가능합니다~~* **아침으로 제법 쌀랑합니다~따끈 오뎅탕 드시고 출발~^^ **10시이후로는 문자 확인이 어려우니 전화로 연락 부탁드립니다**. "포인트피싱" 밴드로 초대합니다!! ↓ ↓ ↓ ↓ ↓ ↓ https://band.us/@pointfs #밴드로 오셔서 더많은 조황구경하세요# === 창원 진해 포인트호 예약안내 ===예약문의 : 010-4785-0205오시는길 : 경남 창원시 진해구 제덕동 891 (아모르호텔 앞)홈페이지 : http://pointfishingho.sunsang24.com/
~*감성돔 찌낚시 마리수~~^(예약가능)*~~ 몇분 모시고 다녀왔습니다~~^ 감성돔 찌낚시 손맛보고 왔습니다~~.마리수가 많이 떨어지네요~~ 수온도 차고,잡어 성화로 미끼가 바닥에 내리기가 힘듬~ 추운 날씨에 수고하셨습니다~~^ ~*14일(일요일)기상악화,,15일(월요일)부터예약가능*~ **아침으로 제법 쌀랑합니다~따끈 오뎅탕 드시고 출발~^^ **10시이후로는 문자 확인이 어려우니 전화로 연락 부탁드립니다**. "포인트피싱" 밴드로 초대합니다!! ↓ ↓ ↓ ↓ ↓ ↓ https://band.us/@pointfs #밴드로 오셔서 더많은 조황구경하세요# === 창원 진해 포인트호 예약안내 ===예약문의 : 010-4785-0205오시는길 : 경남 창원시 진해구 제덕동 891 (아모르호텔 앞)홈페이지 : http://pointfishingho.sunsang24.com/
~*11일 감성돔 찌낚시 조황~~^(예약가능)*~~ 2분 모시고 감성돔찌낚시 몇수 구경하고 왔습니다~~^ 빗속에서도 즐낚하시느라고 수고많이하셨습니다~~ ~*12일(금요일)예약가능,14일(일요일)예약가능합니다*~ **아침으로 제법 쌀랑합니다~따끈 오뎅탕 드시고 출발~^^ **10시이후로는 문자 확인이 어려우니 전화로 연락 부탁드립니다**. "포인트피싱" 밴드로 초대합니다!! ↓ ↓ ↓ ↓ ↓ ↓ https://band.us/@pointfs #밴드로 오셔서 더많은 조황구경하세요# === 창원 진해 포인트호 예약안내 ===예약문의 : 010-4785-0205오시는길 : 경남 창원시 진해구 제덕동 891 (아모르호텔 앞)홈페이지 : http://pointfishingho.sunsang24.com/
~* 10일감성돔 찌낚시 4짜,3짜들 조황~~^(예약가능)*~~ 몇분 모시고 다녀왔습니다~~^ 바다날씨 굿~~^많은 잡어들속에서 4짜,3짜들 몇수 구경하고왔습니다~~^하루,수고많이하셨습니다~~ ~*11일(목요일) 예약가능합니다*~ **아침으로 제법 쌀랑합니다~따끈 오뎅탕 드시고 출발~^^ **10시이후로는 문자 확인이 어려우니 전화로 연락 부탁드립니다**. "포인트피싱" 밴드로 초대합니다!! ↓ ↓ ↓ ↓ ↓ ↓ https://band.us/@pointfs #밴드로 오셔서 더많은 조황구경하세요# === 창원 진해 포인트호 예약안내 ===예약문의 : 010-4785-0205오시는길 : 경남 창원시 진해구 제덕동 891 (아모르호텔 앞)홈페이지 : http://pointfishingho.sunsang24.com/
~* 감성돔 찌낚시 4짜외 마리수 좋아요~~^(예약가능)*~~ 감성돔 찌낚시4짜,3짜중반 마리수제법 올라옵니다~^ 손맛보러 오시와요~~^ ~*9일(화요일)부터 쭉~ 예약가능합니다*~ **아침으로 제법 쌀랑합니다~따끈 오뎅탕 드시고 출발~^^ **10시이후로는 문자 확인이 어려우니 전화로 연락 부탁드립니다**. "포인트피싱" 밴드로 초대합니다!! ↓ ↓ ↓ ↓ ↓ ↓ https://band.us/@pointfs #밴드로 오셔서 더많은 조황구경하세요# === 창원 진해 포인트호 예약안내 ===예약문의 : 010-4785-0205오시는길 : 경남 창원시 진해구 제덕동 891 (아모르호텔 앞)홈페이지 : http://pointfishingho.sunsang24.com/
~* 감성돔 찌낚시4짜4짜4짜 마리수 많이~~^(월예약가능)*~~ 감성돔 찌낚시4짜,3짜중반 마리수 많이 잡고 하루 마무리~ 추운 날씨에 수고많이하셨습니다~~^^ ~*8일(월요일)부터 쭉~ 예약가능합니다*~ **아침으로 제법 쌀랑합니다~따끈 오뎅탕 드시고 출발~^^ **10시이후로는 문자 확인이 어려우니 전화로 연락 부탁드립니다**. "포인트피싱" 밴드로 초대합니다!! ↓ ↓ ↓ ↓ ↓ ↓ https://band.us/@pointfs #밴드로 오셔서 더많은 조황구경하세요# === 창원 진해 포인트호 예약안내 ===예약문의 : 010-4785-0205오시는길 : 경남 창원시 진해구 제덕동 891 (아모르호텔 앞)홈페이지 : http://pointfishingho.sunsang24.com/
~* 감성돔 찌낚시 마리수 굿~~^(토,일요일예약가능)*~ 이른 출항으로 바람이 많이 차갑습니다~~ 따신옷 꼭 챙겨입고 오십시요~~^ ~*6일(토요일)3자리예약가능,7일(일요일)1자리예약가능*~ **아침으로 제법 쌀랑합니다~따끈 오뎅탕 드시고 출발~^^ **10시이후로는 문자 확인이 어려우니 전화로 연락 부탁드립니다**. "포인트피싱" 밴드로 초대합니다!! ↓ ↓ ↓ ↓ ↓ ↓ https://band.us/@pointfs #밴드로 오셔서 더많은 조황구경하세요# === 창원 진해 포인트호 예약안내 ===예약문의 : 010-4785-0205오시는길 : 경남 창원시 진해구 제덕동 891 (아모르호텔 앞)홈페이지 : http://pointfishingho.sunsang24.com/
~*4일 감성돔 찌낚시 마리수 굿~~^(금요일예약가능)*~ 몇분 모시고 다녀왔습니다~~^ 감성돔 찌낚시 쫙쫙 당겨줍니다~손맛 굿~^^ 낼 손맛보러 갑니다~ 추운 날씨에 수고많이 하셨습니다~^ ~~*5일(금요일)예약가능, 6일(토요일)예약가능,7일(일요일)예약가능*~~ **아침으로 제법 쌀랑합니다~따끈 오뎅탕 드시고 출발~^^ **10시이후로는 문자 확인이 어려우니 전화로 연락 부탁드립니다**. "포인트피싱" 밴드로 초대합니다!! ↓ ↓ ↓ ↓ ↓ ↓ https://band.us/@pointfs #밴드로 오셔서 더많은 조황구경하세요# === 창원 진해 포인트호 예약안내 ===예약문의 : 010-4785-0205오시는길 : 경남 창원시 진해구 제덕동 891 (아모르호텔 앞)홈페이지 : http://pointfishingho.sunsang24.com/
~*감성돔 찌낚시 마리수~~^(목요일예약가능)*~ ~~*4일(목요일) 정상 출조합니다~~ ~~*4일(목요일)5일(금요일)예약가능, 6일(토요일)예약가능,7일(일요일)예약가능*~~ **아침으로 제법 쌀랑합니다~따끈 오뎅탕 드시고 출발~^^ **10시이후로는 문자 확인이 어려우니 전화로 연락 부탁드립니다**. "포인트피싱" 밴드로 초대합니다!! ↓ ↓ ↓ ↓ ↓ ↓ https://band.us/@pointfs #밴드로 오셔서 더많은 조황구경하세요# === 창원 진해 포인트호 예약안내 ===예약문의 : 010-4785-0205오시는길 : 경남 창원시 진해구 제덕동 891 (아모르호텔 앞)홈페이지 : http://pointfishingho.sunsang24.com/





























