조황관리HOME / 조황관리 / 상세정보

제목 : ~*가을 감성돔 찌낚시 마리수~^(일요일 출조 예약가능)*~
등록일 : 2025-11-08




KakaoTalk_20251108_051302736.jpg


KakaoTalk_20251108_051302736_01.jpg


KakaoTalk_20251108_051302736_02.jpg


KakaoTalk_20251108_051302736_03.jpg

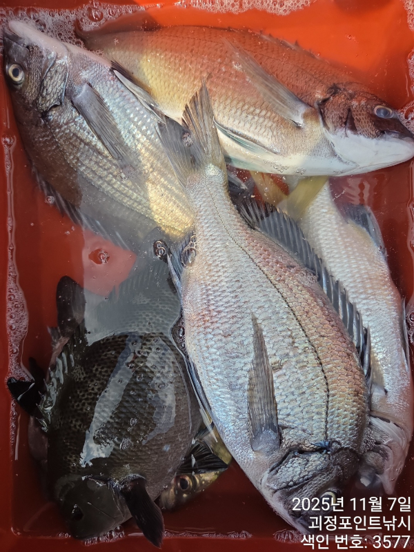
  ~*가을 감성돔 찌낚시 마리수~^(일요일 출조 예약가능)*~

  가을 감성돔 찌낚시 3분모시고 손맛보고 왔습니다~^

   수고하셨습니다~~
                                                              ~*9일(일요일)가을 감성돔 찌낚시 출조합니다(예약가능)~~*

    **아침으로 제법 쌀랑합니다~따끈 오뎅탕 드시고 출발~^^


    **10시이후로는 문자 확인이 어려우                                       
    전화로 연락 부탁드립니다.
 
 "포인트피싱" 밴드로 초대합니다!!

 ↓ ↓ ↓ ↓ ↓ ↓ 


 #밴드로 오셔서 더많은 조황구경하세요#  
 

감성돔완성.jpg

 


=== 창원 진해 포인트호 예약안내 ===

예약문의 : 010-4785-0205

오시는길 : 경남 창원시 진해구 제덕동 891 (아모르호텔 앞)

홈페이지 : http://pointfishingho.sunsang24.com/


모바일.gif 

Top