조황관리HOME / 조황관리 / 상세정보

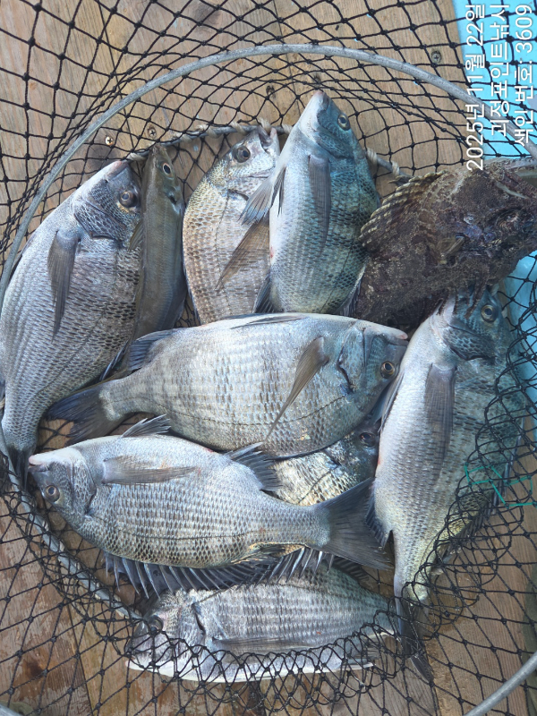
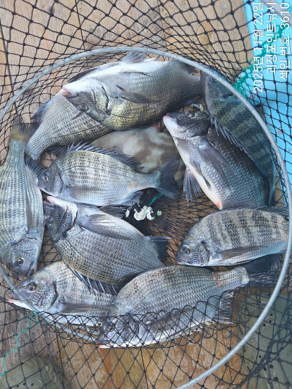
제목 : ~*22일 토요일 실시간 감성돔 찌낚시~~^(일요일예약가능)*~
등록일 : 2025-11-22

KakaoTalk_20251122_104642689.jpg


KakaoTalk_20251122_104642689_01.jpg


KakaoTalk_20251122_104642689_02.jpg


KakaoTalk_20251122_104642689_03.jpg


KakaoTalk_20251122_104642689_04.jpg
~*22일 토요일 실시간 감성돔 찌낚시~~^(일요일예약가능)*~

  실시간,감성돔 찌낚시 손맛,마리수 좋아요~~


     ~~* 23일(일요일)몇자리 여유있습니다*~~

    **24일(월요일)부터 쭉~~예약가능**

    **아침으로 제법 쌀랑합니다~따끈 오뎅탕 드시고 출발~^^

    **10시이후로는 문자 확인이 어려우니                                       
    전화로 연락 부탁드립니다**.
 
 "포인트피싱" 밴드로 초대합니다!!

 ↓ ↓ ↓ ↓ ↓ ↓ 


 #밴드로 오셔서 더많은 조황구경하세요#  

감성돔완성.jpg

 


=== 창원 진해 포인트호 예약안내 ===

예약문의 : 010-4785-0205

오시는길 : 경남 창원시 진해구 제덕동 891 (아모르호텔 앞)

홈페이지 : http://pointfishingho.sunsang24.com/


모바일.gif 

Top