조황관리HOME / 조황관리 / 상세정보

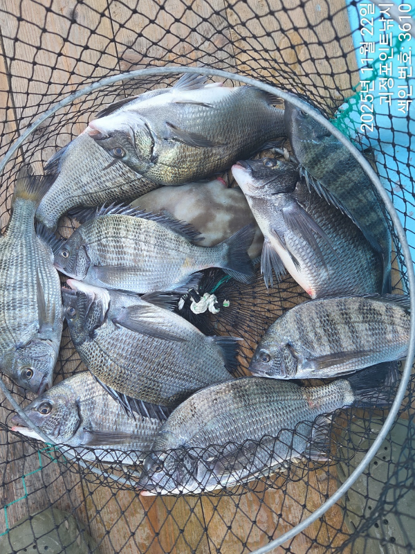
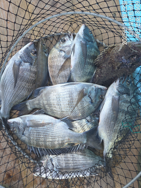
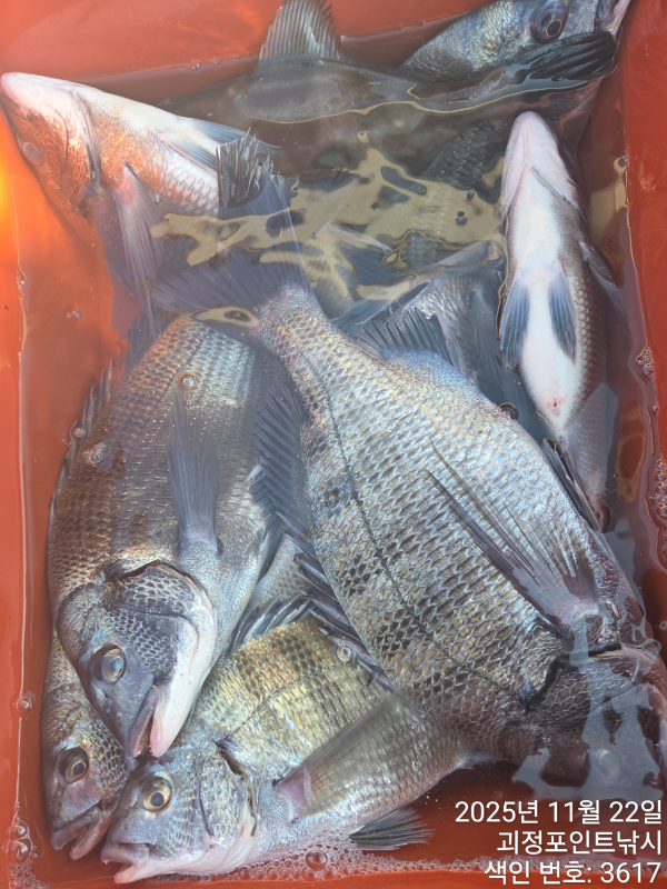
제목 : ~*22일 감성돔 찌낚시 마리수 조황~~^(일요일예약가능)*~
등록일 : 2025-11-22




KakaoTalk_20251122_161214833.jpg


KakaoTalk_20251122_161214833_01.jpg


KakaoTalk_20251122_161214833_02.jpg


KakaoTalk_20251122_161214833_03.jpg


KakaoTalk_20251122_161214833_04.jpg


KakaoTalk_20251122_161214833_05.jpg


KakaoTalk_20251122_161214833_06.jpg


KakaoTalk_20251122_161214833_07.jpg


KakaoTalk_20251122_161214833_08.jpg


KakaoTalk_20251122_161214833_09.jpg


KakaoTalk_20251122_161214833_10.jpg

~*22일 감성돔 찌낚시 마리수 조황~~^(일요일예약가능)*~

 몇분 모시고 감성돔 찌낚시 다녀왔습니다~~

 시원한 입질속에,따박따박 손맛보고왔습니다~~^

  추운 날씨에 수고많았습니다~~

     ~~* 23일(일요일)몇자리 여유있습니다*~~

    **24일(월요일)부터 쭉~~예약가능**

    **아침으로 제법 쌀랑합니다~따끈 오뎅탕 드시고 출발~^^

    **10시이후로는 문자 확인이 어려우니                                       
    전화로 연락 부탁드립니다**.
 
 "포인트피싱" 밴드로 초대합니다!!

 ↓ ↓ ↓ ↓ ↓ ↓ 


 #밴드로 오셔서 더많은 조황구경하세요#  

감성돔완성.jpg

 


=== 창원 진해 포인트호 예약안내 ===

예약문의 : 010-4785-0205

오시는길 : 경남 창원시 진해구 제덕동 891 (아모르호텔 앞)

홈페이지 : http://pointfishingho.sunsang24.com/


모바일.gif 

Top