조황관리HOME / 조황관리 / 상세정보

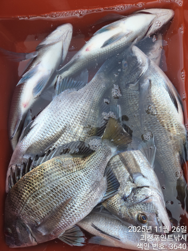
제목 : ~*26일 감성돔 찌낚시 마리수 좋아요~~^(예약가능)*~
등록일 : 2025-11-26

KakaoTalk_20251126_142413823.jpg


KakaoTalk_20251126_142413823_01.jpg


KakaoTalk_20251126_142413823_02.jpg


KakaoTalk_20251126_142413823_03.jpg


KakaoTalk_20251126_142413823_04.jpg
~*26일 감성돔 찌낚시 마리수 좋아요~~^(예약가능)*~

 감성돔 찌낚시 2분모시고 다녀왔습니다~^

 2분 조사님 장군멍군,입질받으며 재미나게 히트~히트~~

 급한 일정으로11시반쯤 조기철수~!!

 수고하셨습니다~^

  ~~*27일(목요일),28일(금요일),29일(토요일),

          30일(일요일)예약가능합니다*~~

    **아침으로 제법 쌀랑합니다~따끈 오뎅탕 드시고 출발~^^

    **10시이후로는 문자 확인이 어려우니                                       
    전화로 연락 부탁드립니다**.
 
 "포인트피싱" 밴드로 초대합니다!!

 ↓ ↓ ↓ ↓ ↓ ↓ 


 #밴드로 오셔서 더많은 조황구경하세요#  

감성돔완성.jpg

 


=== 창원 진해 포인트호 예약안내 ===

예약문의 : 010-4785-0205

오시는길 : 경남 창원시 진해구 제덕동 891 (아모르호텔 앞)

홈페이지 : http://pointfishingho.sunsang24.com/


모바일.gif 

Top