조황관리HOME / 조황관리 / 상세정보

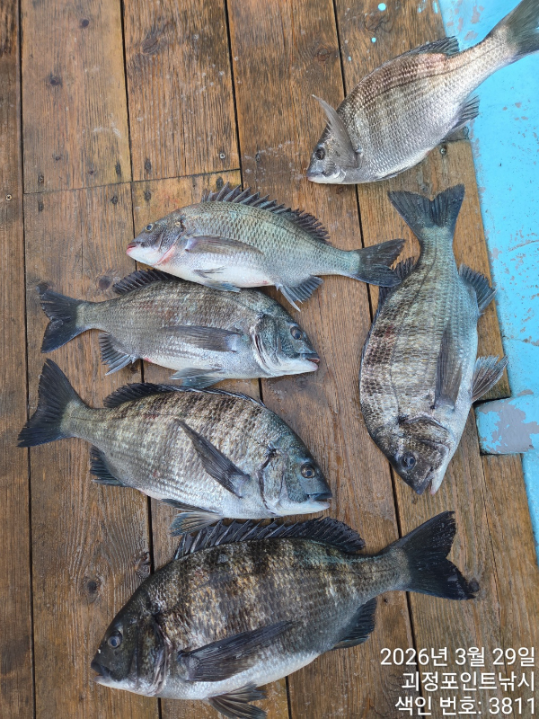
제목 : ~**감성돔 찌낚시 꾹꾹 처박는 손맛~(예약가능)**~
등록일 : 2026-03-31

KakaoTalk_20260329_163032555_03.jpg


KakaoTalk_20260329_163032555.jpg


KakaoTalk_20260329_163032555_01 (1).jpg


KakaoTalk_20260329_163032555_02.jpg


KakaoTalk_20260329_163032555_03.jpg


KakaoTalk_20260329_163032555_04.jpg
 ~**감성돔 찌낚시 꾹꾹 처박는 손맛~(예약가능)**~


  감성돔 찌낚시 몇분 모시고 손맛보고 왔습니다~^

  꾹꾹 처박는 손맛,보기좋은 물때~~

    하루 수고하셨습니다~~^


  ~~*4월1일(수요일)부터 쭉~예약가능합니다*~~


    **10시이후로는 문자 확인이 어려우니                                       
    전화로 연락 부탁드립니다**.
 
 "포인트피싱" 밴드로 초대합니다!!

 ↓ ↓ ↓ ↓ ↓ ↓ 


 #밴드로 오셔서 더많은 조황구경하세요#  

감성돔완성.jpg

 


=== 창원 진해 포인트호 예약안내 ===

예약문의 : 010-4785-0205

오시는길 : 경남 창원시 진해구 제덕동 891 (아모르호텔 앞)

홈페이지 : http://pointfishingho.sunsang24.com/


모바일.gif 

Top