조황관리HOME / 조황관리 / 상세정보

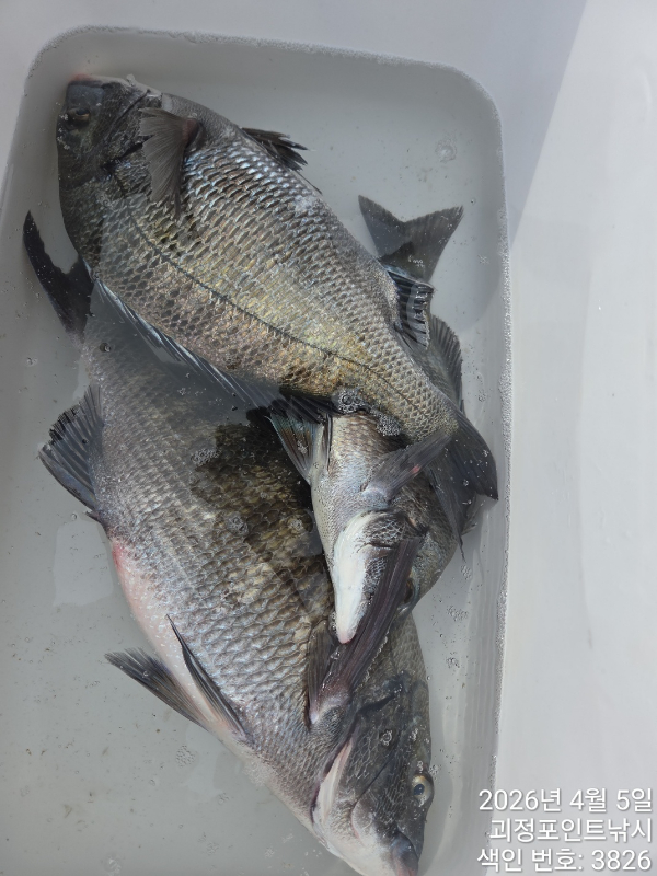
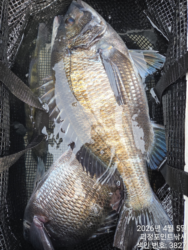
제목 : ~**5일감성돔 찌낚시 마리수 조황~(예약가능)**~
등록일 : 2026-04-06

KakaoTalk_20260405_171347818_02.jpg


KakaoTalk_20260405_171347818.jpg


KakaoTalk_20260405_171347818_01.jpg


KakaoTalk_20260405_171347818_02.jpg


KakaoTalk_20260405_171347818_03.jpg


KakaoTalk_20260405_171347818_04.jpg


KakaoTalk_20260405_171347818_05.jpg


KakaoTalk_20260405_171347818_06.jpg
 ~**5일감성돔 찌낚시 마리수 조황~(예약가능)**~

   감성돔찌낚시 몇분 모시고~~너울 파도속에서도

   굵직한 씨알,몇수손맛보고뢌습니다~~^

 꾹꾹 쳐박는 손맛,시즌 막바지 손맛느껴보세요~!!

     하루,수고하셨습니다~~^^

  ~~*8일(수요일)부터 쭉~예약가능합니다*~~


    **10시이후로는 문자 확인이 어려우니                                       
    전화로 연락 부탁드립니다**.
 
 "포인트피싱" 밴드로 초대합니다!!

 ↓ ↓ ↓ ↓ ↓ ↓ 


 #밴드로 오셔서 더많은 조황구경하세요#

감성돔완성.jpg

 


=== 창원 진해 포인트호 예약안내 ===

예약문의 : 010-4785-0205

오시는길 : 경남 창원시 진해구 제덕동 891 (아모르호텔 앞)

홈페이지 : http://pointfishingho.sunsang24.com/


모바일.gif 

Top